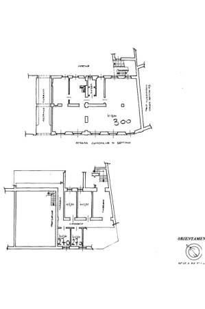
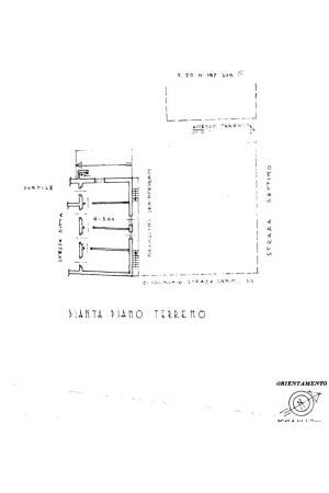
Locale commerciale sito in Strada Settimo 65 a Torino. Edificazione del 1920. Negozio C1 piano strada con cinque vetrine su strada, 230 mq con retro. Cantine 150 mq. Al piano primo due camere A3 per 25 mq. Quattro camere deposito in corte interna per 60 mq. Magazzino sotto terrazzo 40 mq. Terreno edificabile nel retro dello stabile di 500 mq. Locali da restaurare, posti auto in corte interna e accesso carraio. Spese condominiali valutabili in 2000 euro per anno. Libero subito. Per informazioni: GIEFFE PATRIMONI Real Estate Advisor, Torino – Londra – Alba – Milano – Roma – Monza. (+39) 011 / 76.000.11
