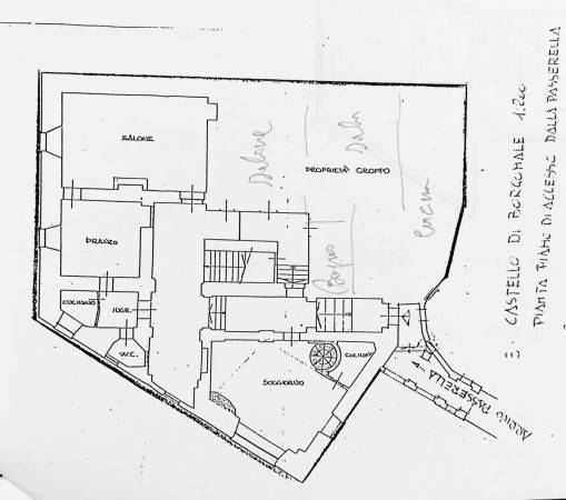
Rif: borgomale – Ospitò probabilmente Papa Pio VII durante in viaggio in Francia per l’incoronazione di Napoleone Bonaparte; nelle sue segrete si ambientò la tragedia di “Nella”, giovane dama confinatavi dal feudatario Lionello. Situato in una posizione strategica tra Alba e le colline dell’Alta Langa, nel cuore del patrimonio dell’UNESCO e di un paesaggio noto per la sua straordinaria bellezza naturale e per i vini prestigiosi, il Castello medievale di Borgomale è monumento di interesse storico ed anche monumento nazionale dell’Alta Langa, adatto per la trasformazione in struttura ricettiva di lusso o per residenza privata di charme, sito a 15 km da Alba e sulla provinciale che la collega a Cortemilia. Le origini del Castello di Borgomale distribuito oggi su 2000 mq, con corte d’onore e terreno libero su tre lati, risalgono al IX secolo, quando fu citata come fortificazione appartenente al vescovo di Asti. Nel corso dei secoli fu ampliata e migliorata, e con il passare del tempo divenne la sede di potenti nobili locali come il marchese del Vasto, il marchese di Ceva e Cortemilia e Del Carretto di Gorzegno ed altri. La struttura originale disponeva di cinque torri e un ponte levatoio che fu successivamente sostituito nel 1700 da un passaggio coperto sopraelevato. Il Castello recentemente ha subito una sostanziale ristrutturazione strutturale che ha riguardato in maggior parte il tetto di copertura. Sulla piazza principale di Borgomale, un grande portone di legno permette l’accesso al cortile interno e giardino/ parco (7000 mq circa). Si accede al Castello attraverso le cantine al piano terreno o attraverso un grande loggiato coperto che conduce direttamente al terzo piano che ospita gli appartamenti nobiliari estesi su altri due piani. Gli interni sono caratterizzati da alti soffitti a volta e vari camini presenti. Una magnifica scalinata centrale in pietra conduce a una terrazza panoramica sul tetto con vista impareggiabile sul verde circostante. Questi spazi potrebbero essere facilmente re-distribuiti e trasformati in suites oppure in appartamenti indipendenti, frutto di frazionamento. Il piano terra con accesso al giardino dispone di un vasto spazio di intrattenimento su due livelli e diverse cantine. Il primo e il secondo piano hanno ulteriori cantine, con scale in legno, la cucina originale del Castello ed una cappella privata. Torino dista 80km ( aeroporto di Caselle). Milano dista 170 km ( aeroporto di Malpensa ). Genova dista 120 km. Per informazioni: GIEFFE PATRIMONI Real Estate Advisor, Torino – Londra – Alba – Milano – Roma. (+39) 011 / 76.000.11
